REQUEST A TOUR If you would like to see this home without being there in person, select the "Virtual Tour" option and your agent will contact you to discuss available opportunities.
In-PersonVirtual Tour

Listed by Nicole M Gilberts • eXp Realty Of California, Inc.
$ 99,000
Est. payment /mo
Active
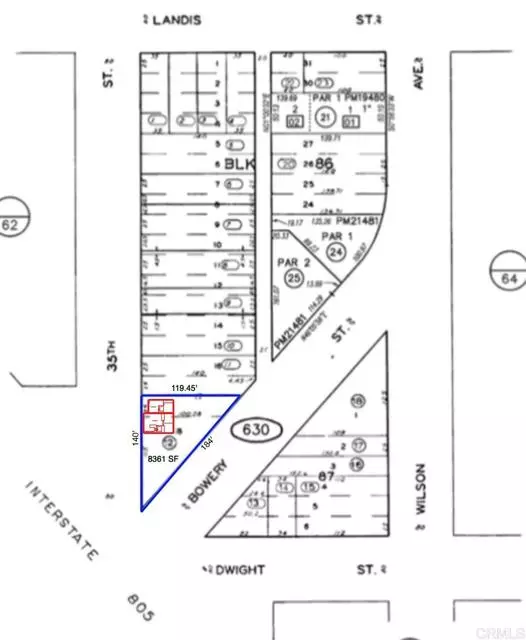
0 st San Diego, CA 92104
8,077 Sqft Lot
UPDATED:
Key Details
Property Type Vacant Land
Listing Status Active
Purchase Type For Sale
MLS Listing ID 8P-2503125
Lot Size 8,077 Sqft
Source California Regional Multiple Listing Service (CRMLS)
Property Description
Looking to build in 92104, look no further! This lot is located in Cherokee Point near the 805 freeway. With over 8,000 SF of space to build a home or multiple dwelling unit, this lot has tremendous opportunity. Utility tie-ins possible through the city. Owner is a contractor and would be open to assistance with construction build out. *Buyer responsible to verify zoning, utilities, permits and exact property boundaries.*
Location
State CA
County San Diego
Area 92104 - North Park
Zoning R-1/RS-1-7
Exterior
Community Features Urban
View Y/N Yes
View Canyon
Building
Lot Description 0-1 Unit/Acre
Others
Virtual Tour https://www.propertypanorama.com/instaview/crmls/PTP2503125






